BBCBrasil.com
70 anos 1938-2008
Español
Português para a África
Árabe
Chinês
Russo
Inglês
Outras línguas
 
Atualizado às: 04 de setembro, 2007 - 12h59 GMT (09h59 Brasília)
 
Envie por e-mail Versão para impressão
Furacão Félix provoca deslizamentos na Nicarágua
 
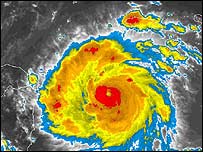
Furacão Felix em foto do satélite GOES. Fonte: Centro Nacional de Furacões dos EUA
Especialistas dizem que Félix pode provocar 'danos catastróficos'
O furacão Félix chegou nesta terça-feira à costa nordeste da Nicarágua com força máxima, na categoria cinco – a mais forte na escala de furacões – provocando deslizamentos.

Em seguida, no entanto, o furacão perdeu força e foi rebaixado para categoria três.

O Centro Nacional de Furacões em Miami, nos Estados Unidos, afirmou que a tempestade provocou ventos de até 257 quilômetros por hora.

Milhares de pessoas foram levadas para abrigos construídos pelo governo, mas há informações de que povos indígenas estariam vagando pela costa de Miskito, na fronteira entre a Nicarágua e Honduras.

Na costa oeste do México, já está se formando mais uma tempestade, batizada de Henriette, que já atingiu a categoria um de furacão.

A previsão é de que o Henriette chegue à península da Baixa Califórnia ainda nesta terça-feira.

O presidente da Nicarágua, Daniel Ortega, antecipou o retorno de uma viagem que fazia ao Panamá para coordenar os preparativos de emergência contra o furacão.

Segundo o boletim do NHC, o Félix pode levar a índices pluviométricos de até 30 centímetros em algumas partes de Honduras e da Nicarágua.

No domingo, o furacão passou por Aruba e pelas ilhas de Bonaire e Curaçao, causando danos pequenos.

Os governos da região temem que o Félix possa causar devastação semelhante à provocada pelo Furacão Mitch, que matou milhares de pessoas em 1998.

O Félix é a sexta tempestade a atingir a região na atual temporada. Há duas semanas, o Furacão Dean matou 18 pessoas em sua passagem pela região.

 
 
Guia em Flash
Veja como se forma um furacão e os estragos causados.
 
 
Aruba após passagem do furacãoFuracão no Caribe
Félix atinge ilhas e se dirige para Honduras.
Veja
 
 
Furacão no México
Dean chega à costa do país.
Veja
 
 
Mais furacões
Estudo diz que o fenômeno dobrou no último século.
 
 
NOTÍCIAS RELACIONADAS
Furacão Félix perde força mas preocupa Caribe
03 de setembro, 2007 | Notícias
ÚLTIMAS NOTÍCIAS
 
 
Envie por e-mail Versão para impressão
 
Tempo | Sobre a BBC | Expediente | Newsletter
 
BBC Copyright Logo ^^ Início da página
 
  Primeira Página | Ciência & Saúde | Cultura & Entretenimento | Vídeo & Áudio | Fotos | Especial | Interatividade | Aprenda inglês
 
  BBC News >> | BBC Sport >> | BBC Weather >> | BBC World Service >> | BBC Languages >>
 
  Ajuda | Fale com a gente | Notícias em 32 línguas | Privacidade